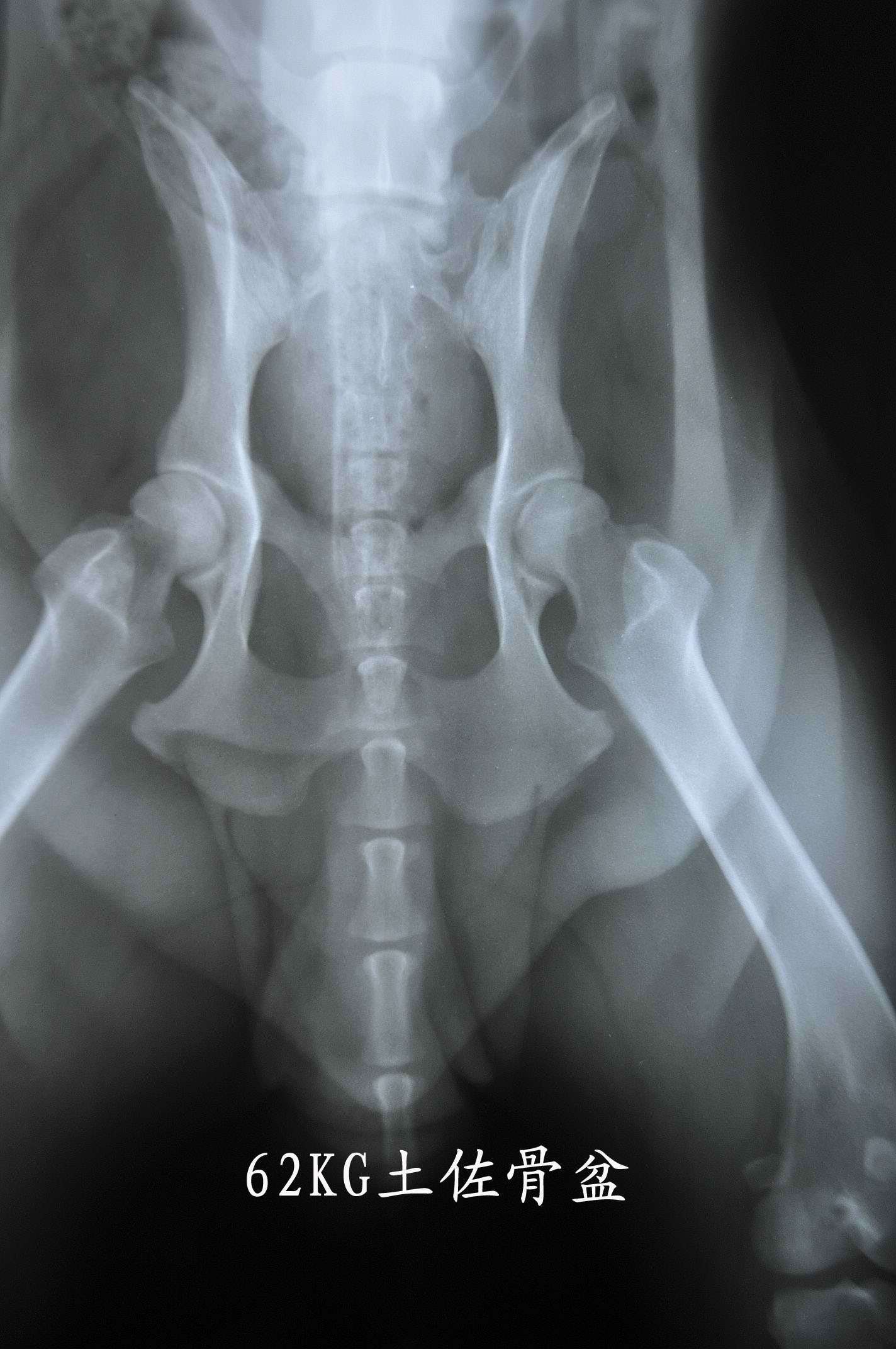
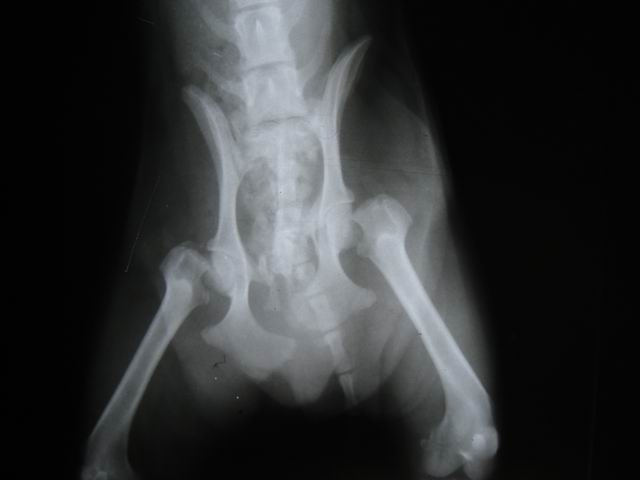
近有客户想要了解 下宠物X光机拍片的突显,以下使用我公司生产的宠物X光机拍摄的照片。 如果您需要采购宠物X光机。可以致电:0536-8322186或18953679166! 上一篇:上一篇:拍片机成像系统点片方案有哪些 下一篇:下一篇:如何区分CR拍片机和DR拍片机