近期人们关爱宠物关爱流浪小动物的意识大大提高,随处可见的宠物医院里宠物X光机成为必不可少的宠物医疗设备,对骨折或病况不明的动物及时作出医疗诊治。
华锐影像提供100mA固定式宠物X光机 为拍摄动物设计,操作方便简单。本机定位准确、性能可靠,满足对大、中、小型动物的四肢、尾部、胸腔、颈部、脊椎、盆腔等部位进行卧位拍片检查。并且采用进口滤线板、图像更清晰,特别适合动物后部位拍摄。
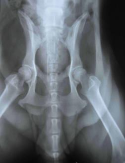
以下照片为62kg大型犬骨盆拍片效果图,如果您对宠物X光机感兴趣,欢迎致电咨询。




